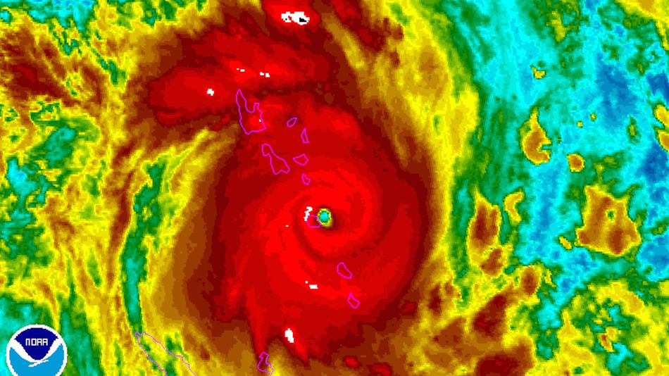
Image Massive cyclone rips through Vanuatu Islands in South Pacific #CyclonePam 14 Saturday Mar 2015 Posted by The Template News, Current Affairs and Sport Website in Asia π, International News, Weather ≈ Leave a comment TagsCyclone, Vanatua Islands Share this: Share on Facebook (Opens in new window) Facebook Share on LinkedIn (Opens in new window) LinkedIn Share on X (Opens in new window) X Share on Tumblr (Opens in new window) Tumblr Like Loading... Related